URLA

DUYURULARDA ARA

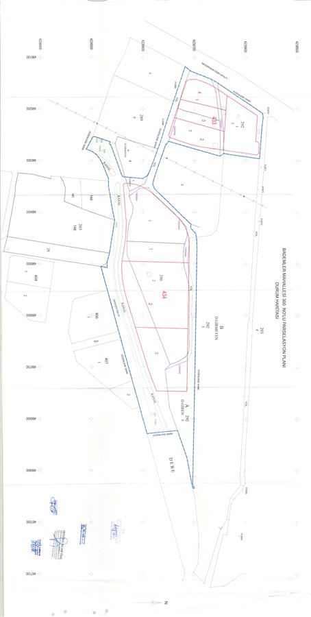
Bademler Mahallesi 300 Nolu Parselasyon Planı

23.03.2026 08:30:00

İzmir İli, Urla İlçesi, Bademler Mahallesi, 290 ada 1 ve 2 parseller, 291 ada 1 ve 2 parseller, 292 ada 1 parsel ile 289 ada 4 parsel ve 292 ada 3 parselin bir kısmı ve dereden ihdas edilen alanı kapsayan alanda 300 No.lu Parselasyon Planı Belediye Encümeni’nin 12.12.2025 tarih 1450 sayılı kararı, İzmir Büyükşehir Belediye Encümeni'nin 26.02.2026 tarih 04-147 sayılı kararı ile 3194 sayılı İmar Yasası’nın 19. Maddesine göre 5216 sayılı Kanun'un 7/b maddesi gereği onaylanmıştır.

Planın bir kopyası 23.03.2026 tarihinden başlayarak bir ay süreyle Belediyemiz Plan ve Proje Müdürlüğü katında ve Belediyemiz internet sayfasında (http://www.urla.bel.tr) ilgililerin incelemesi için askıya çıkarılmış ve ilan edilmiştir. Askı süresi bitiminde tescil için ilgili Tapu Müdürlüğüne gönderilecektir.

EKLE
E-Posta listemize kayıt olun ilk siz öğrenin!